Timeline
2018-Present
Status
Submitted for Funding Approval
Location
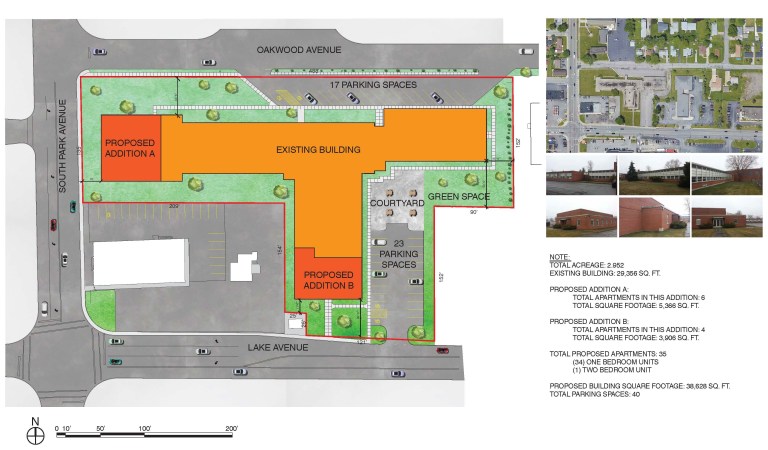
15 Oakwood Ave, Blasdell, New York
Description
This project, part of a historic complex in Blasdell, is an adaptive reuse of the Our Mother of Good Counsel Private School which will house 33 apartment units, and (2) one story additions to the school – one fronting South park Ave which will house an additional 4 apartment units and the other fronting Lake Ave – which will house an additional 4 apartment units. Each apartment will be fully adaptable for
accessibility, and will have the following spaces: Kitchen,
Living / Dining area, 1 or 2 Bedrooms, Bathroom and an ample bulk storage area
provided within the apartment or at a specified location within the building.
There will be a community room in the area that was originally used for the gym, keeping a portion of this area fully intact . Additional areas include: onsite
bicycle
storage, trash/recycling rooms, bulk storage units, small general activity room, staff
office and onsite laundry facilities.
Regarding the site, there is a parking area at the front of the building with
access from Oakwood Avenue for 15 vehicles and the rear of the building with
access from Lake Avenue for 23 vehicles, both combining for a total of 38 vehicles. The parking area has an abundance of green space with regularly spaced trees
surrounding the entire area. A new 6’ high board on board fence will enclose the entire parking area as well as running continuous at the east side of the
development (screening the courtyard area from the adjacent residences). The lot and all building lights will be dark sky compliant, shielded to keep light away from adjacent properties.



